When Brutus, the almost-three-year-old German Shepherd, was randomly shot in his own yard, his panicked family was not sure where to turn for care.

Owners Michael Shelton and Heather Mitchell were grateful that the team at the VCA Sawmill Animal Hospital in Columbus, Ohio was ready with the equipment and expertise to save Brutus and help the injured dog get his life back.

“We are a ‘come in now’ hospital, meaning as long as we can make the time and have the right equipment for the care, we are open to see virtually any case. Sometimes that means seeing pets to stabilize them before transferring to an overnight care or emergency facility, but most times we are able to fully care for the patients that come in on our own due to the expertise of the veterinary team,” says Stephanie Benney, client service representative for the hospital.

Brutus made it into the hospital just before the 8 p.m. closing time and the team was ready to help him get the care he needed.

“All Associates were there and ready to help. The front desk jumped into action to help as well, whether it was to help finish rooms or close the hospital down. The vet staff immediately jumped into action seamlessly. No one had to be asked to stay, everyone just wanted to help,” remembers Autumn Davis, technical supervisor and registered veterinary technician.

Having veterinarians, technicians and support staff trained to the highest standards is a point of pride for VCA Sawmill. Their thorough knowledge of the latest procedures and medicines ensures all patients get the best in prevention and healing care.

“We signed up for patients like this,” says Dr. Tod Beckett, the veterinary surgeon who operated on Brutus and co-medical director at VCA Sawmill, as well as VCA Mill Run and VCA Westerville East Animal Hospitals. “I was proud of my team because they embraced it enthusiastically.”

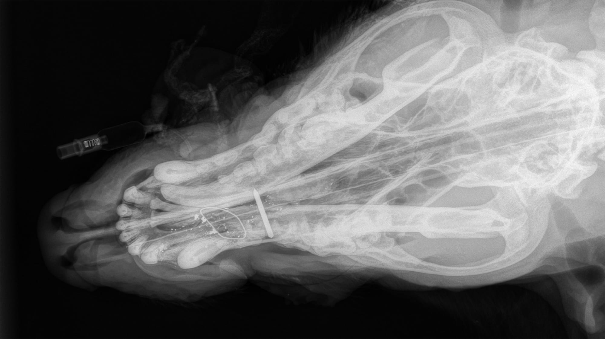
Brutus had been shot in the face and had damage to his canine tooth, the bone of the mandible, and had pieces of bone and bullet throughout his face. Several of his teeth had to be removed, as a well as pieces of bone and bullet, which could cause infection if left untreated. The team removed the injured tissue and affected teeth, then wired his jaw to stabilize his mouth and reconstructed gum tissue. Brutus was under anesthesia for 45 minutes, but his vital signs stayed stable and by 10:30 p.m., the surgery was complete and he was resting.

After his successful surgery, Brutus stayed the night in the hospital for monitoring and to make sure he was able to easily eat. He went home the following day on a diet of soft foods, returning a week later to repair the gingival flap.

“He’s back to a normal, happy life,” Dr. Beckett says.

While gunshots are not the usual cause of injury in the clinic, Dr. Beckett spent the first few years of his career in an emergency clinic and was familiar with this type of injury, which can also be caused by a car accident. Several members of the team who helped with Brutus’ surgery are in training for jobs in the veterinary field and gained important experience caring for future patients.

“It definitely isn’t a normal case we see, but with having Dr. Beckett at the helm we usually see a wide variety of medical cases. He’s always ready to take on the interesting ones and uses them as learning experiences for the entire team,” Stephanie says.

Caring for the owners is just as vital as caring for their pet, says Stephanie.

“In a scary and stressful situation like the one they were confronted with, it’s always important to make sure the owner feels seen, heard, and safe while in the clinic,” she says.

Heather says she’s glad they ended up bringing Brutus to VCA Sawmill and Dr. Beckett.

“I believe everything happens for a reason” she says. “He fell into the right hands, with someone who could do everything to fix him. He did not have to suffer any more after that.”

While Brutus is still eating mostly soft food, Michael and Heather say he is back to his goofy self.

“He’s the same Brutus,” Michael says. “He’s high energy, eating food and playing with his toys.”

Brutus’ story was featured on the local news, inspiring the community to rally around him.

He also made an impression on the team.

“Although it was a sad situation, it was a great learning experience for me and others at the hospital. Brutus is a very sweet boy and I enjoyed working with him. I also forgive him for peeing on my shoes, and pants . . . and shirt,” Stephanie says with a laugh.

Caring for a pet in an emergency can be stressful. Let VCA Animal Hospitals’ caring team members use their experience and access to the latest technology to help your pet. If your pet needs emergency care, you can find a VCA Animal Hospital here.